ঢাকা
শুক্রবার, ২৪ এপ্রিল, ২০২৬
ই-পেপার
প্রচ্ছদ
(current)
জাতীয়
সারাবাংলা
শিক্ষা
রাজনীতি
কর্পোরেট সংবাদ
ফিচার
বিজ্ঞান-প্রযুক্তি
সাহিত্য
ধর্ম
নগর-মহানগর
অন্যান্য
মতামত
লাইফস্টাইল
স্বাস্থ্য
জবস
বিশেষ খবর
আইন-আদালত
বিনোদন
খেলাধুলা
আন্তর্জাতিক
অর্থনীতি
প্রবাস
রেসিপি
পুঁজিবাজার
উদ্যোক্তা
ই-পেপার
প্রচ্ছদ
রিপোর্টার
আন্তর্জাতিক ডেস্ক
থাইল্যান্ডের কাছে এফ-৩৫ জেট বিক্রিতে অস্বীকৃতি যুক্তরাষ্ট্রের
ব্রিটিশ রানিকে নিয়ে গোপন তথ্য প্রকাশ এফবিআইয়ের
এরদোয়ানের ভাগ্য নির্ধারণ কাল
জরুরিভিত্তিতে সরকারের সঙ্গে সংলাপ চান ইমরান
ভারতীয় পাসপোর্টে রোম যাওয়ার চেষ্টা, মুম্বাইয়ে বাংলাদেশি গ্রেপ্তার
চীনে করোনার নতুন ঢেউ, সপ্তাহে আক্রান্ত হবেন সাড়ে ৬ কোটি মানুষ
ইমরানের দল থেকে পদত্যাগের হিড়িক, দীর্ঘ হচ্ছে তালিকা
কেন ইমরানের দল ছাড়ছেন নেতা-কর্মীরা
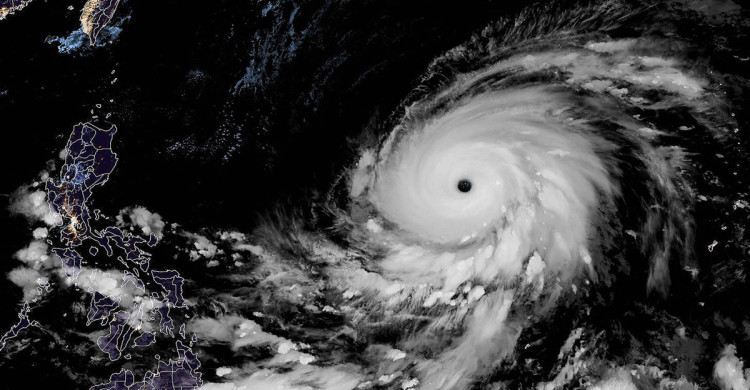
ধেয়ে আসছে মহাশক্তিশালী সুপার টাইফুন মাওয়ার
চীনের কাছ থেকে খুব জটিল চ্যালেঞ্জের মুখোমুখি ভারত
রাশিয়ার সীমান্ত নিরাপত্তা জোরদারের নির্দেশ পুতিনের
ইতালির উপকূল থেকে ৬০০ অভিবাসী উদ্ধার
বিশ্ব নেতাদের অভিনন্দন-শুভেচ্ছায় ভাসছেন এরদোয়ান
রুশ ড্রোন হামলার পর বিমান বাহিনীর প্রশংসায় পঞ্চমুখ জেলেনস্কি
জম্মুতে ৭৫ আরোহী নিয়ে বাস খাদে, নিহত ১০
যুক্তরাষ্ট্রে পাঁচদিনে গুলিতে ঝরেছে ১৪ প্রাণ
« Previous
Next »